Donosi ekstremne vremenske uvjete Uragan 'Gabrielle' približava se Europi: Može doći do tornada i valova visokih do 18 metara "Gabrielle" se nalazi nad Atlantskim oceanom te se kreće prema sjeveroistoku, u smjeru europskog kopna
nataša janjić medančić FOTO Hrvatska glumica pokazala kako uživa na Floridi nakon uragana Milton: 'Nitko ne zna' Nataša je tako svoje društvene mreže okupirala snimkama iz muzeja koje posjećuje, a pokazala je i kako uživa u šetnji te na plaži.
Peti najjači atlantski uragan u povijesti Florida broji troškove uragana Milton usred političke oluje: Najmanje 16 poginulih, razmjeri štete se još utvrđuju Peti najjači atlantski uragan u povijesti, Milton, bi samo osiguravatelje mogao koštati do 100 milijardi dolara, kažu analitičari.
APOKALIPSA Hrvatica se javila iz Floride: 'Vidjeli smo svašta ali ovako nešto još ne' Uz snažan vjetar koji je tu vodu nanosio svuda. Pravi potop je bilo i apokaliptično. Vidjeli smo svašta, ali ovako još ne." – rekla nam je Helena koja je dodala da se stanje smirilo u četvrtak popodne, uz vjetar koji je i dalje prisutan.
Milton VIDEO: Pogledajte snimku iz aviona dok leti kroz čudovišni uragan Floridu je pogodila jedna od najjačih tropskih oluja u posljednjih stotinu godina. Uragan Milton udario je američku obalu, a vlasti su naredile hitnu evakuaciju stanovnika. Milton bi mogao biti najjača oluja koja je ikad pogodila Floridu.
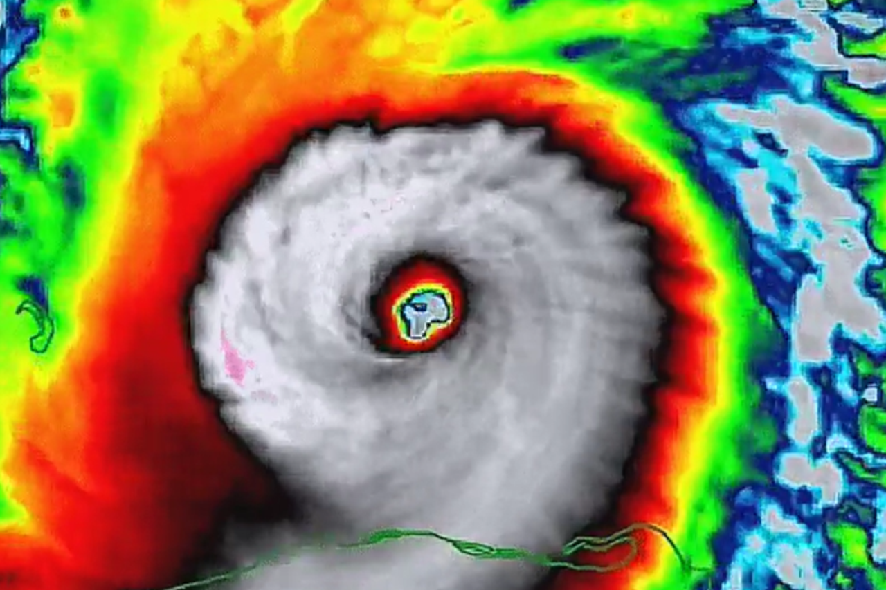
NEVIĐENA SNAGA 'Milton' pomiče granice fizike. Znanstvenici imaju novu ideju za takve čudovišne uragane Znanstvenici predlažu proširenje trenutačne ljestvice uragana na kategoriju 6 jer oluje sve češće dosežu snažnije brzine vjetra
OPASNE POSLJEDICE Poplave, klizišta, razoran vjetar... Uragan Kirk ide prema Europi, ove zemlje su mu prve na udaru Euronews Green razgovarao je s meteorologom Larsom Lowinskim kako bi saznali vjerojatan utjecaj oluje Kirk na područje Europe
Video sadržaj ZASTRAŠUJUĆI PRIZORI VIDEO Nasa snimila uragan Milton iz svemira: 'Mogla bi biti najgora oluja u 100 godina' "Zapadna obala Floride spektakularno je osjetljiva na olujne valove, kao što smo vidjeli. Čak i tropska oluja može gurnuti vodu u Zaljevu do opasnih visina, a kamoli jak uragan", rekao je stručnjak za vremenske prognoze